Istrski hrast, znan tudi kot črnikev, je zimzeleno drevo z usnjatimi, temnozelenimi listi, ki so na spodnji strani pogosto sivkasto dlakavi – ta prilagoditev zmanjšuje izhlapevanje in omogoča preživetje v sušnih razmerah. Je odporen na slanost ter tvori gosto krošnjo, ki nudi zavetje in senco.

DRUŽINA: bukovke (Fagaceae)

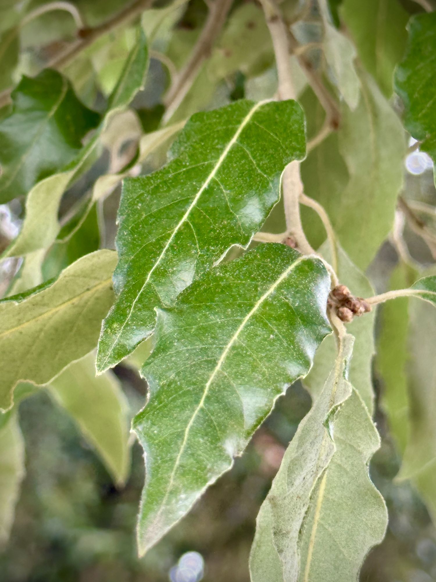
OPIS: Črničevje je zimzelen grm ali drevo, ki zraste do 20 metrov visoko in tvori široko, gosto, okroglo krošnjo. Ima dobro razvito glavno korenino in tudi stranske korenine. Premer debla se giblje od 30 cm do 2 metra. V mladosti je lubje sivkasto in gladko, ko se rastlina stara, pa skorja postane skoraj čisto črna in vzdolžno razpoka. Listi so po obliki zelo raznoliki, navadno ozko ovalni in pri dnu zaobljeni ali široko zoženi. Hrast je star, ko doseže starost 700 let. Do te starosti drevesa še naprej rastejo in proizvajajo želod za razmnoževanje svojih potomcev.

CVETENJE: Enodomna in vetrocvetna vrsta, cveti aprila in maja.

RASTIŠČE: Najraje raste na apnenčasti matični podlagi, v najtoplejših delih Sredozemlja tudi na drugih vrstah tal. Zaradi usnjatih listov je odporen proti suši, visoki temperaturi in sončni pripeki, vendar potrebuje veliko svetlobe. Dobro kljubuje tudi vetru in soli v zraku.

RAZŠIRJENOST: Istrski hrast raste v Sloveniji na območju Istre in Primorske, v svetu pa na območju okoli Sredozemlja. Najdemo ga še v severni Afriki, pa tudi na Apeninskem in Balkanskem polotoku ter v Mali Aziji.

UPORABNOST: Hrastov les je odličen tehnološki in konstrukcijski material. Uporablja se za gradnjo ladij, kanujev, sodov, delov orodja, miz, za izdelavo parketa in pohištva.

Hrast nudi zatočišče in hrano tudi številnim vrstam živali. Hrastovi gozdovi zagotavljajo življenjski prostor številnim avtohtonim vrstam in so zato pomembni za ekosisteme. Zagotavljajo tudi domove številnim žuželkam, te pa so vir hrane pticam. Jazbeci in jeleni se prehranjujejo z želodom. Hrastovi cvetovi in ​​popki so hrana gosenicam, nevretenčarji pa živijo na razpadajočem hrastovem listju.

ALI STE VEDELI?
Najdebeleše znano drevo črnike v Sloveniji raste v parku Rastelli v Portorožu. Obseg njenega debla je 375 cm, visoka pa je 17 metrov.

Črnika je ena izmed najpogosteje izbranih drevesnih vrst povsod tam, kjer se načrtno ukvarjajo z gojenjem črnega tartufa, ki raste le pod pogojem, da ima sklenjeno trdno prijateljsko zvezo (mikorizo) s črniko.


Najpomembnejša besedila zahodne zgodovine, vključno z Magno Carto, Newtonovimi teorijami in Mozartovo glasbo, so bila napisana s hrastovim črnilom.

Nazaj na seznam